Cayman Islands

Aerial view of the crystal-blue waters of the Cayman Islands with two large cruise ships anchored offshore.

Grand Cayman

Map of Places

Notes

  • Type A/B adapter needed. None needed for US travelers.

Day 1: Georgetown, Grand Cayman

Selfie of a mom and two sisters smiling together on a sunny beach.

Governors Beach

This is a half-day itinerary since this is the day of arrival.

  • Pick up your car from the airport rental.

  • Head directly to Governors Beach. Change into your suit in the car to maximize daylight.

  • There is a store across the street for snacks and drinks, and a food truck serving hot dogs, ice cream, and soda.

  • Relax at the beach after your flight.

Optional Evening Activity

Dinner

Two lionfish tacos topped with fresh ingredients and drizzled with sauce.

Tukka West - Lionfish Tacos

  • Check into your hotel (4 nights) and head to dinner at Tukka West.

  • Enjoy an outdoor table right on the marina.

  • After dinner, return to your accommodation and enjoy the pool and pool bar.

Day 2: Scuba Diving & Beach Hopping

  • Enjoy the continental breakfast provided by your hotel.

  • If diving, book ahead with Living the Dream Divers.

  • They provide pickup from your hotel and take you to the dive boat.

  • Expect to see caves, tunnels, hawksbill and loggerhead sea turtles, and colorful fish. GoPro rentals may be available at your hotel.

  • If not diving, start your day beach hopping! If diving, start beach hopping right after.

Scenic view of Smith Cove in Grand Cayman with clear turquoise water and rocky shoreline.

Smith Cove

Two girls snorkeling in the clear waters near Macabuca Restaurant, enjoying the marine scenery.

Macabuca

Family smiling together for a selfie in front of crystal-clear turquoise water.

Hampton by Hilton Grand Cayman Seven Mile Beach

Smith Cove

  • Beautiful white sand beach with coral reefs for snorkeling. Bring your own gear.

  • You might spot flounder, eels, and blue tang. Wear shoes for walking along the rocky coast.

Cemetery Beach

  • Quiet and peaceful. Water may be rough; best for relaxing and exploring rather than swimming.

Macabuca

  • Finish the day at Macabuca Oceanfront Tiki Bar & Grill.

  • Enjoy food and drinks on the dock and snorkel right from the restaurant steps.

  • Return to your accommodation for the evening.

Day 3: Biking & Stingray City

  • Reserve hotel bikes early before breakfast — they may rent out quickly.

  • After breakfast, enjoy a casual bike ride with ocean views and local gift shops along the route.

Midday Relaxation

Woman snorkeling in clear water right beside a large stingray in Stingray City.

Stingray City

A woman smiling while gently holding a stingray in clear, shallow water.

Stingray City

  • Spend time at the hotel pool or private beach. Options for jet ski or paddle board rentals.

Afternoon: Stingray City

  • Book in advance with Red Sail Sports.

  • Arrive early to meet your tour group. Ask about the photo package — worth it!

  • You’ll visit a sandbar where stingrays gather. Feed them with chum provided by the crew.

  • Next, snorkel in deeper waters with a variety of fish and possibly more stingrays.

Dinner

  • Head to Tillies for dinner.

  • Reserve ahead; great beachfront dining with your feet in the sand.

  • Return to your hotel for overnight stay.

Day 4: Spotts Beach, Starfish Point & Colliers Beach

Spotts Beach

A sea turtle gliding gracefully through clear ocean water at Spotts Beach.

Spotts Beach

Two colorful starfish resting on the sandy seabed at Starfish Point.

Starfish Point

  • Bring beverages and head out early to Spotts Beach for sunrise swimming with sea turtles.

  • Follow responsible turtle interaction techniques (keep distance, no touching).

  • We use a GoPro (ad) for all our underwater pictures. There are newer versions but this one works for us.

Starfish Point

A family sitting in shallow, clear water with several starfish visible in front of them.

Starfish Point

  • Snorkel along the shallow waters to see starfish at Starfish Point.

  • The water is shallow so try and keep your feet up so you do not muck the water up and ruin your visibility.

  • Along this route you will see many starfish in all different colors snd sizes. If you keep swimming far enough you will reach an open area without any turtle grass where the cruise ships and other tour boats often park to enjoy the starfish.

  • Sadly, due to human interactions, the amount of starfish here has been dwindling greatly. Please, if you insist on touching the starfish, make sure you do NOT under any circumstances lift them out of the water. Starfish will dry out quickly and this painful for them and even deadly. Please always respect the wildlife.

  • Lunch at Rum Point Beach Restaurant

  • Busy but lively beach atmosphere. Take a walk to the pier before heading to a quieter location.

Colliers Beach

Family posing in front of the Blow Hole at Colliers Wilderness Reserve.

Colliers Wilderness Reserve Blow Hole

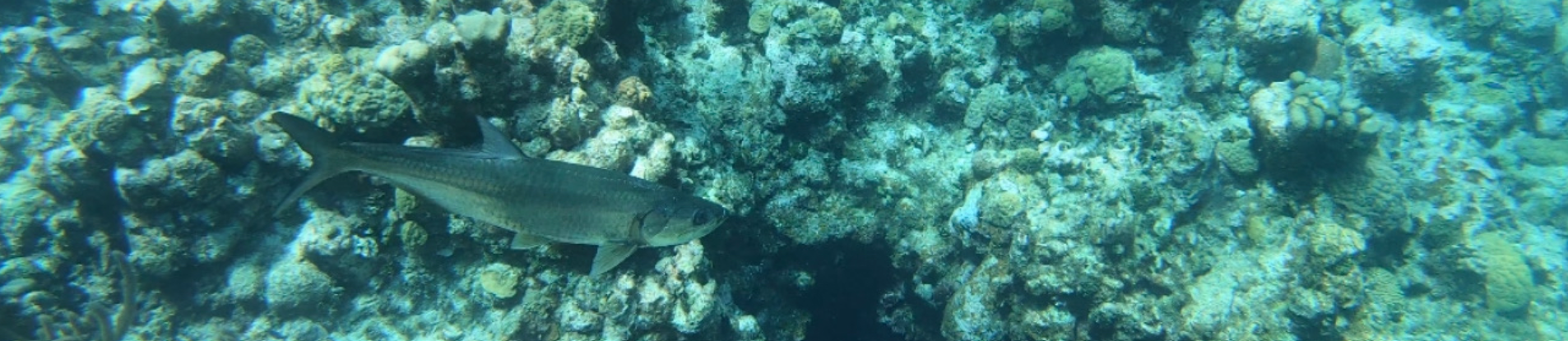
A tarpon swimming in the clear waters of Devil’s Grotto/Eden Rock, surrounded by coral formations.

Eden Rocks/Devils Grotto - Tarpon

  • Relax on this secluded beach.

  • Calm waters, great for relaxing and watching wildlife.

  • Before sunset, drive to Colliers Wilderness Reserve to look for blue iguanas and stop by the blowholes.

Dinner

Day 5: Snorkeling with Tarpons

  • After breakfast and hotel checkout, revisit your favorite beach or go snorkeling.

  • Then head to Eden Rock/Devils Grotto for snorkeling with tarpons.

    • Deep-water, strong swimmers recommended.

    • Free dive if experienced; depths can reach 40 feet. Take breaks as needed.

  • Rinse off at the restaurant hose, return your rental car, and walk to the airport for departure.

Three people riding bicycles together outdoors on a sunny day.
View of the pool at Hampton by Hilton Grand Cayman on Seven Mile Beach with lounge chairs and clear water.

Hampton by Hilton Grand Cayman Seven Mile Beach

Passport Chapters
Previous
Previous

Nepal

Next
Next

Peru